DOCUMENTO GRAFICO DE SERVIDUMBRES Y LINEAS DE CONSTRUCCION

 
Nota: Tamano de mosaico es de 24 "x36" pulgadas.
Portada
Glosario - Gráficos
Directivos
CORREGIMIENTOS Y DIVISION POLITICA
 
Corregimientos que integran la ciudad de Panamá.
Límites de la ciudad de Panamá y su división interna en corregimientos.
 
CORREGIMIENTO DE ANCON
Hoja indice
Mosaico No. 1
Mosaico No. 2
Mosaico No. 3
Mosaico No. 4
Mosaico No. 5
Mosaico No. 6
Mosaico No. 7
Mosaico No. 8
Mosaico No. 9
Mosaico No. 10
Mosaico No. 11
CORREGIMIENTO DE BETANIA
 
 
Mosaico No. 1
 
 
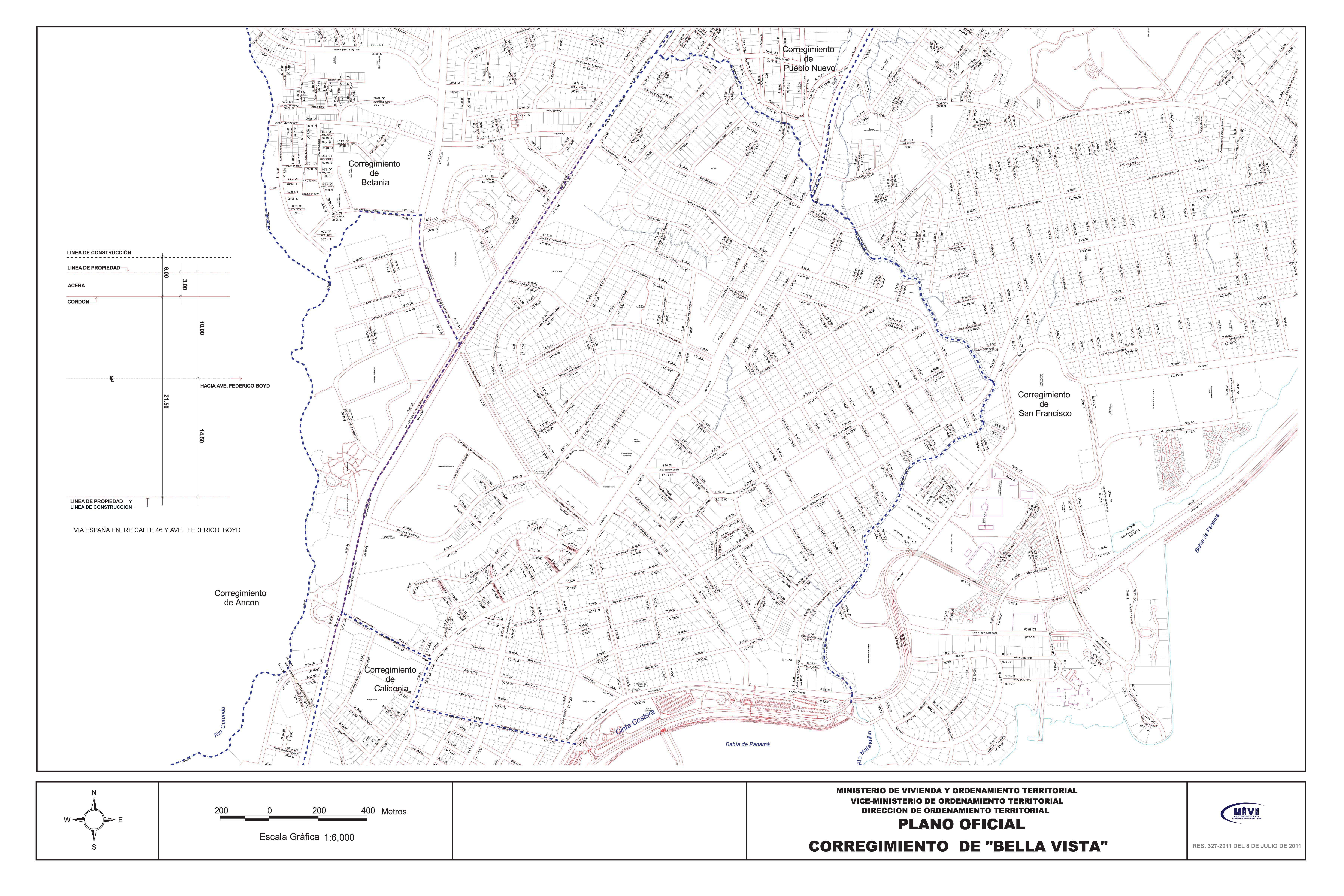
CORREGIMIENTO DE BELLA VISTA
 
 
Mosaico No. 1
 
 
 
CORREGIMIENTO DE CALIDONIA
 
 
Mosaico No. 1
 
 
CORREGIMIENTO DE CURUNDU
 
 
Mosaico No. 1
 
 
CORREGIMIENTO DE SAN FELIPE, EL CHORRILLO Y SANTA ANA
 
 
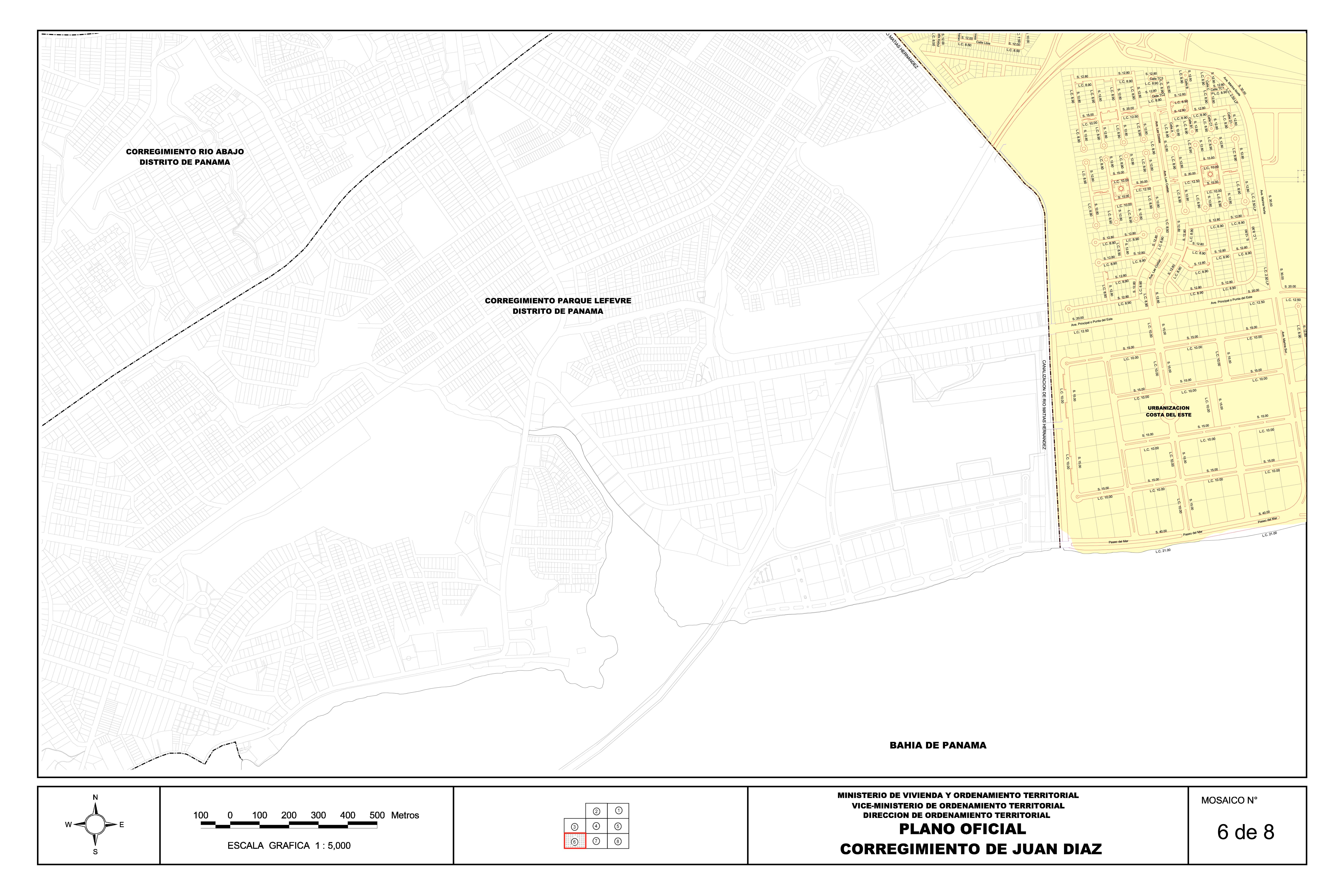
CORREGIMIENTO DE JUAN DÍAZ
 
Mosaico No. 2
Mosaico No. 1 
Mosaico No. 3
Mosaico No. 4
Mosaico No. 5
Mosaico No. 6
Mosaico No. 7
Mosaico No. 8
CORREGIMIENTO DE PARQUE LEFEVRE
 
 
Mosaico No. 1
 
 
CORREGIMIENTO DE PEDREGAL
 
 
Mosaico No. 4
 
 
 
Mosaico No. 5
Mosaico No. 3
 
 
Mosaico No. 6
Mosaico No. 2
 
 
 
 
Mosaico No. 1
CORREGIMIENTO DE PUEBLO NUEVO
 
 
Mosaico No. 1
 
 
CORREGIMIENTO DE RIO ABAJO
 
 
Mosaico No. 1
 
 
CORREGIMIENTO DE SAN FRANCISCO
 
 
Mosaico No. 1